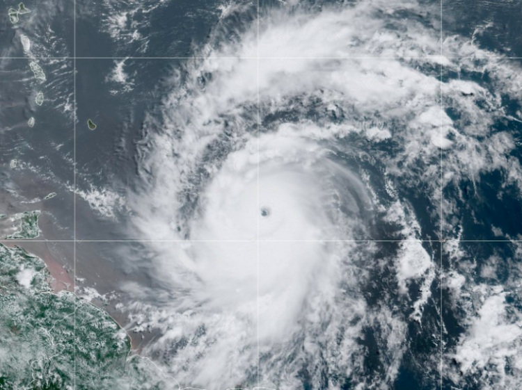
En cuestión de horas, «Beryl» ha evolucionado a huracán de categoría 4 «extremadamente peligroso» según lo califica el Centro Nacional de Huracanes (NHC).
Update: 11:35 AM AST Sunday – Reconnaissance aircraft find #Beryl has strengthen into an extremely dangerous category 4 hurricane with maximum winds of 130 mph. Life-threatening winds and storm surge expected in the Windward Islands beginning early Monday morning. Latest at… pic.twitter.com/CUNFkVl8Iv
— National Hurricane Center (@NHC_Atlantic) June 30, 2024
La Comisión Nacional del Agua (CONAGUA) informó que el fenómeno meteorológico «Beryl» ha evolucionado rápidamente y hasta hace un par de horas se localizaba a 565 kilómetros al este sureste de Barbados y a 3 mil 590 kilómetros de Cancún, Quintana Roo.
La dependencia asegura que a pesar de la intensificación del sistema, este no representa hasta el momento ningún peligro para México.
El #Huracán #Beryl se intensificó hace unos minutos a categoría 4 en la escala #SaffirSimpson. Todos los detalles en el gráfico pic.twitter.com/u5LsRAoU1b
— CONAGUA Clima (@conagua_clima) June 30, 2024
Apenas a las 3:00 horas de este día se informaba que «Beryl» había evolucionado a categoría 2 y en cuestión de tres horas ya se hablaba de un huracán de categoría 3 en escala de Saffir-Simpson con vientos de hasta 215 km/h y rachas de 260 km/h que se desplaza hacia el oeste a una velocidad de 33 km/h, cuatro horas después el sistema tropical recién se intensificó a la categoría 4.
¿Dónde será el impacto de «Beryl»?
De acuerdo a la información compartida por el Centro Nacional de Huracanes (NHC) con sede en Florida, se prevé que «Beryl» toque tierra la mañana de este lunes en las Islas Bartolovento en el Caribe con vientos «potencialmente mortales» y marejadas ciclónicas.
El NHC estima que el mayor riesgo del núcleo será para San Vicente y las Granadinas, y Granada a partir de la madrugada de mañana.
Hurricane #Beryl continues to quickly strengthen this Sunday morning. The storm is now a very dangerous category 3 hurricane with maximum sustained winds of 115 mph. Life-threatening winds and storm surge are expected in portions of the Windward Islands by early Monday. Latest at… pic.twitter.com/ELcAT3zaqd
— National Hurricane Center (@NHC_Atlantic) June 30, 2024
El Centro urge a que los trabajos de preparación se terminen el día hoy lo más pronto posible ante la llegada del huracán que se continúa intensificando.
«Beryl» abre la temporada de huracanes en el Atlantico siendo el primer fenómeno de esta magnitud de la temporada, precedido por «Alberto» que alcanzó la clasificación de tormenta tropical y generó una importante cantidad de lluvias en el noreste mexicano y más recientemente los disturbios tropicales 93L y 94L, este último sigue provocando precipitaciones en Tamaulipas.









